チービシ体験ダイビング
台風が近づく沖縄ですが、朝からて良く晴れて真夏日の暑い一日となりました。
今日はチービシ諸島周辺海域へ体験ダイビングに行って来ました。大人数でのご参加ありがとうございます。風は少々強めでしたが、ダイビングポイントは穏やかです。
那覇から西へおよそ30分程ボートを走らせると、チービシ諸島周辺海域のダイビングポイントへ到着します。透明度抜群の海で体験ダイビングが始まります。
当店の体験ダイビングは2ダイブ設定(追加ダイブはオプション)となっております。その理由は、まず最初のダイブで水中呼吸と耳抜きを時間をかけて徹底的に慣れていただき、その後の2ダイブ目で思いっきり遊んでいただくためです。呼吸と耳抜きはダイビングにとって最も重要なスキルで、例えどんなに優れたインストラクターであっても代わって行うことが出来ません。お客様自身でしっかりと確実に身に付けて慣れていただく必要があります。
呼吸の練習はボートのラダー(梯子)につかまって慎重に行います。顔を水につけて手足を伸ばし、深呼吸をしながら慣れていきます。リラックスして行うことが大切ですね。

水面上での呼吸に慣れたら、ロープを使ってゆっくりと潜降してきます。この時にご自分達のタイミングでしっかりとこまめに耳抜きを行います。初めてダイビングをされる方にとっては耳抜きは未知の世界で、ちゃんと出来ているかどうかもご自分では分からずとても不安なものです。耳抜きも特段問題なくスムーズに行えました。潜降の姿勢バランスもとてもお上手です。

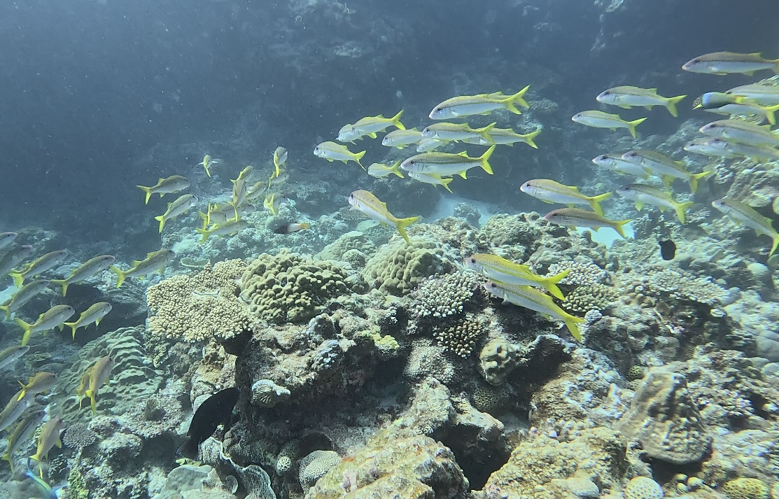
呼吸と耳抜きの練習だけで終わってしまうこともありますが、今回は順調にいきましたので遊ぶ時間が増えました。綺麗な水中世界をゆっくりと移動していきます。このポイントは綺麗な珊瑚が広がりたくさんのスズメダイが見られます。

クマノミなどの水中生物もじっくり観察していきます。

2ダイブ目では綺麗な水中世界をゆっくりと移動して、ご自分達で泳ぐ事にもチャレンジです。浮力をコントロールして綺麗に泳ぐことが出来ました。ファンダイバーに引けを取らないほどお上手です。

皆様、とってもお上手で楽しそうに仲良くダイビングされていたのがとても印象的でした。


ここでもたくさんの魚達を見ることが出来ました。


午前中の半日だけでしたが、美しい景観に癒され続けたダイビングになりました。次回はライセンス取得コースへのご参加をお待ちしておりますね。
・2025年渡名喜遠征の日程が決まりました!大人気のツアーですのでご予約はお早めに!
・沖縄本島全域をトータルでコーディネートいたします。ご予約お待ちしております。
・ライセンスを取得して、綺麗な海で思う存分遊びましょう!
